16th Feb 2023
This is Patchy. He’s a new admission into the Karmanye clan ๐.. met him around 3 months ago..he was a tiny little puppy hopping around with glee not knowing what awaits him in this cruel world ๐..
He had his mother and father around and was in a safe spot so we kept an eye and started to feed.
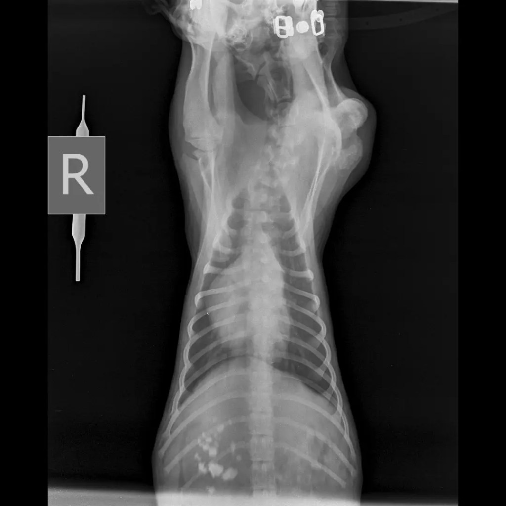
Cut to two months later – he disappeared for two days and we couldn’t find him even though we looked a lot. When he came back he looked like he had a dislocated shoulder.
He’s frisky and doesn’t allow to touch him much so we got him caught and sent him to the vet for x-rays. The x-rays revealed that sure enough there was an injury but now with time it’s fused in such a way that he has a slight dislocated look and limp but is not in pain.
We got his blood work done and he has been detected with tick fever! Had to send him to the shelter because he’s a no touchy touchy boy and Medicating him onsite is going to be a herculean task since it’s antibiotics and he can’t even miss a day.. he will be well looked after, medicated and fed well too. Can’t wait for him to recover and come back home as a healthy gorgeous shiny black pup ๐ค ๐พ
The vets and one way transport bills are attached above – Rs 5700 already ..
+300 a day at the foster..min 21 days stay
Please help us help Patchy ๐
Gpay on 9923334246
Thank you in advance
In gratitude
T
.
#communitydog #comnunitydogsofinstagram #instacommunitydogs #indiandogs #indiesofinstagram๐พโค๏ธ #communitydogsofkharadi #kharadirescue #karmanyefoundation #helppatchy #kharadistreeties #kharadiindies #punedogs #dogsofpune #indiesofpune #donateforpatchy #donationappeal #fundsappeal







